توقيت القاهرة المحلي 13:53:48 آخر تحديث
  مصر اليوم -

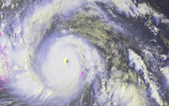
آرثر يتحول إلى إعصار من الفئة الثانية ويهدد ساحل أميركا

  مصر اليوم -

  مصر اليوم - آرثر يتحول إلى إعصار من الفئة الثانية ويهدد ساحل أميركا

الإعصار "آرثر"
واشنطن ـ واس

أفاد المركز الوطني للأعاصير في الولايات المتحدة الأمريكية، أن الإعصار "آرثر" الذي تم الإعلان يوم أمس، أنه الإعصار الأول في موسم الأعاصير في البلاد، اشتدت قوته وتحول من الفئة الأولى إلى الفئة الثانية.
وأضاف المركز، أن الإعصار صاحبته رياح بسرعة 160 كيلومتراً في الساعة، وكان يبعد 35 كيلومتراً قبالة الساحل الشرقي الساعة العاشرة مساء (0200 بتوقيت جرينتش).
وصدرت أوامر بإجلاء سكان جزيرة قبالة ساحل "نورث كارولينا"، حيث يهدد الإعصار احتفالات يوم الاستقلال في أجزاء كبيرة من الساحل الشرقي للولايات المتحدة.
وأصدرت مقاطعة "دير كاونتي" في نورث كارولينا أمراً بالإجلاء الإجباري للسكان والزائرين لجزيرة "هاتيراس آيلاند"، إحدى الجزر في منطقة "اوتر بانكس" قبالة نورث كارولينا.

egypttoday
egypttoday

الإسم *

البريد الألكتروني *

عنوان التعليق *

تعليق *

: Characters Left

إلزامي *

شروط الاستخدام

شروط النشر: عدم الإساءة للكاتب أو للأشخاص أو للمقدسات أو مهاجمة الأديان أو الذات الالهية. والابتعاد عن التحريض الطائفي والعنصري والشتائم.

اُوافق على شروط الأستخدام

Security Code*

 

آرثر يتحول إلى إعصار من الفئة الثانية ويهدد ساحل أميركا آرثر يتحول إلى إعصار من الفئة الثانية ويهدد ساحل أميركا



الإسم *

البريد الألكتروني *

عنوان التعليق *

تعليق *

: Characters Left

إلزامي *

شروط الاستخدام

شروط النشر: عدم الإساءة للكاتب أو للأشخاص أو للمقدسات أو مهاجمة الأديان أو الذات الالهية. والابتعاد عن التحريض الطائفي والعنصري والشتائم.

اُوافق على شروط الأستخدام

Security Code*

 

آرثر يتحول إلى إعصار من الفئة الثانية ويهدد ساحل أميركا آرثر يتحول إلى إعصار من الفئة الثانية ويهدد ساحل أميركا



يتميَّز بطبقة شفّافة مُطرّزة وحواف مخملية

كورتني كوكس تُهدي فُستانًا ارتدته قبل 20 عامًا لابنتها كوكو

نيويورك ـ مادلين سعاده

GMT 03:24 2019 الإثنين ,17 حزيران / يونيو

"دولتشي آند غابانا" تُقدِّم عبايات لخريف وشتاء 2019
  مصر اليوم - دولتشي آند غابانا تُقدِّم عبايات لخريف وشتاء 2019

GMT 06:16 2019 الإثنين ,17 حزيران / يونيو

أغلى فيلا في تايلاند مقصد للمشاهير ومُحبي الفخامة
  مصر اليوم - أغلى فيلا في تايلاند مقصد للمشاهير ومُحبي الفخامة

GMT 09:04 2019 الإثنين ,17 حزيران / يونيو

ديكورات مستوحاة من الطبيعة للجلسات الخارجية
  مصر اليوم - ديكورات مستوحاة من الطبيعة للجلسات الخارجية

GMT 02:48 2019 الإثنين ,17 حزيران / يونيو

أرخص 10 بلدان أوروبية لقضاء عُطلة صيفية لا تُنسى
  مصر اليوم - أرخص 10 بلدان أوروبية لقضاء عُطلة صيفية لا تُنسى

GMT 03:37 2019 الأحد ,16 حزيران / يونيو

7 محظورات و 5 نصائح لتأثيث غرف نوم مميزة للأطفال
  مصر اليوم - 7 محظورات و 5 نصائح لتأثيث غرف نوم مميزة للأطفال

GMT 12:48 2019 الخميس ,10 كانون الثاني / يناير

تعرف على تاريخ مصر القديمة في مجال الأزياء والموضة

GMT 03:59 2018 الأحد ,28 كانون الثاني / يناير

تفاصيل جديدة في حادث الاعتداء على هشام جنينه

GMT 10:53 2018 الأربعاء ,17 كانون الثاني / يناير

العلماء يحذرون عشاق "شاي الأكياس" من المخاطر الصحية

GMT 15:26 2018 الجمعة ,12 كانون الثاني / يناير

ميلان يضع خُطة لإعادة تأهيل أندريا كونتي

GMT 09:19 2018 الثلاثاء ,02 كانون الثاني / يناير

وصول جثمان إبراهيم نافع إلى مطار القاهرة من الإمارات

GMT 08:13 2018 الإثنين ,01 كانون الثاني / يناير

التغذية غير الصحية كلمة السر في الشعور بالخمول

GMT 09:09 2017 الخميس ,28 كانون الأول / ديسمبر

طارق السيد ينصح مجلس إدارة الزمالك بالابتعاد عن الكرة

GMT 00:47 2017 الثلاثاء ,26 كانون الأول / ديسمبر

أمن الإسماعيلية يرحب باستضافة المصري في الكونفدرالية

GMT 18:22 2017 السبت ,09 كانون الأول / ديسمبر

القدر أنقذ ميسي من اللعب في الدرجة الثانية

GMT 09:28 2016 الخميس ,18 شباط / فبراير

عرض فيلم "نساء صغيرات" في الإسكندرية
 
Egypt-Sports

All rights reserved 2026 Arabs Today Ltd.

All rights reserved 2026 Arabs Today Ltd.

egyptsports egyptsports egyptsports egyptsports
Egypttoday Egypttoday Egypttoday
Egypttoday
بناية النخيل - رأس النبع _ خلف السفارة الفرنسية _بيروت - لبنان
Egypt, Lebanan, Lebanon